土贝母是葫芦科、假贝母属草质藤本植物,学名假贝母,别称地苦胆、草贝、大贝母等,我国华北地区及四川、湖南等地均有分布,块茎可入药,具有解毒、散结、消肿等功效,下面来看一看土贝母是什么植物吧!

一、物种论述
土贝母是常见的中药材,学名假贝母,别称地苦胆、草贝、大贝母等,在生物学分类上属于植物界、被子植物门、双子叶植物纲、葫芦目、葫芦科、假贝母属攀援草质藤本植物,块茎可入药,味苦,性微寒,归肺、脾经,具有解毒、散结、消肿等功效。

二、形态特征
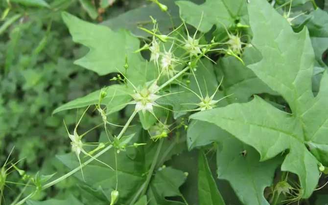
土贝母是攀援草质藤本植物,鳞茎肥厚,肉质,乳白色;茎草质,无毛,攀援状,枝具棱沟;叶柄纤细,叶片卵状近圆形,掌状5深裂;雌雄异株,雌、雄花序均疏散圆锥状,花序轴丝状,花梗纤细,花黄绿色;果实圆柱状,果盖圆锥形;种子卵状菱形,暗褐色,表面有雕纹状凸起,边缘有不规则的齿,顶端有膜质翅;花期6~8月,果期8~9月。

三、分布范围
土贝母主要分布在河北、山东、河南、山西、陕西、甘肃、四川东部和南部、湖南西北部等地,多野生于山坡、平原草丛、灌木丛中。

四、生长习性
1、温度:土贝母喜温暖,较耐严寒,最适生长温度20~25℃,最低能耐零下20℃低温。
2、湿度:土贝母喜湿润,较不耐旱,最适生长湿度60~70%,土壤湿度过大容易烂根。
3、土壤:土贝母喜肥沃,在疏松、富含腐殖质黄砂土中生长良好,粘性土壤生长不良。
4、光照:土贝母喜光照,稍耐荫庇,光照充足时植株生长茂密,幼苗期需要适当遮阴。
本文由作者上传并发布,运富春仅提供信息发布平台。文章仅代表作者个人观点,不代表运富春立场。
